



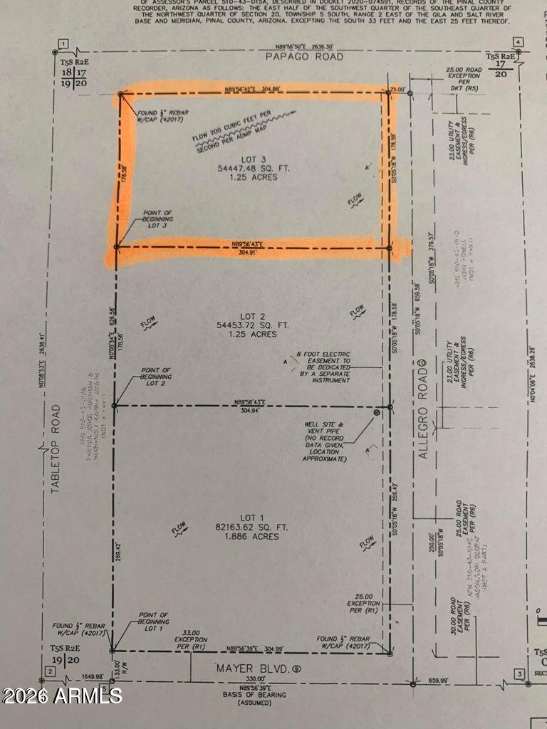
: Lot 3 is a Beautiful 1.25 acre that faces Allegro St. Custom homes and Ranches are within sight. Mayer Blvd is County Maintained and intersects Allegro Rd. This Lot is ready for construction. You can build a Custom Home or install a Manufactured Home. This is horse property and has amazing Mountain Views! Major Planned Community by Ashton Woods & Starlight Homes and others are approx. 5 miles away. Electricity is approximately 350 ft away and Water can be metered from the main lot. Property is 5 minutes from Dollar General, Rob's Convenience & Farmers Convenience Store/Restaurant as well as close to Harrah's Casino and 15 mins from Maricopa's downtown.
| 21 hours ago | Listing updated with changes from the MLS® | |
| 23 hours ago | Listing first seen on site |
Did you know? You can invite friends and family to your search. They can join your search, rate and discuss listings with you.